Noch bevor das erste Urteil über zwei Jahre Haft für Ex-Milliardär René Benko rechtskräftig ist, kommt es zu einem neuen Verfahren mit ähnlichen Vorwürfen. Es geht um Luxusuhren und Bargeld.| Wirtschaft | RP ONLINE
Meggle war einst eine kleine Molkerei im oberbayerischen Wasserburg am Inn. Längst ist die Gruppe international für Butter und Milchprodukte bekannt. Der Mann hinter der Expansion ist nun gestorben.| Wirtschaft | RP ONLINE
Kurz vor der Klimakonferenz präsentiert Brasilien Fortschritte beim Schutz des Regenwaldes. Doch neue Projekte trüben das grüne Image.| Hamburger Abendblatt
Noch immer gibt es Menschen, die die Mondlandung 1969 anzweifeln. Auch Reality-Star Kim Kardashian hängt offenbar dieser Verschwörungstheorie an.| Hamburger Abendblatt
Seit seiner Festnahme vor einem Jahr saß Sean Combs in einem New Yorker Gefängnis ein. Warum der US-Rapper nun verlegt wurde.| Hamburger Abendblatt
Ein Mann hat in einer Tochterfirma einer deutschen Firma in Cleveland das Feuer eröffnet. Zwei Deutsche sterben. Die Stellungnahme des Unternehmens.| Hamburger Abendblatt
Der jüngere Bruder von König Charles muss seinen Prinzentitel abgeben. Er war in die Epstein-Affäre verwickelt. Der Palast macht nun Druck.| Hamburger Abendblatt
Ein Foto zeigt eine schädelähnliche Struktur, die vom Boden einer großen Vulkangrube im Tschad aus in den Weltraum zu blicken scheint.| Hamburger Abendblatt
Der Tod von Fabian hat Güstrow erschüttert. Hunderte trauern um den Achtjährigen am Abend bei einem Gottesdienst. Mehr im Newsblog.| Hamburger Abendblatt
Archäologen haben nahe dem tschechischen Brünn einen 3200 Jahre altes Metallartefakt gefunden, das von besonders hohem Wert ist.| Hamburger Abendblatt
Der Ulmer Münster ist nicht mehr der höchste Kirchturm der Welt. Welches Gotteshaus in Spanien 1,41 Meter mehr nachweisen kann.| Hamburger Abendblatt
Eine 80-Jährige wurde tot auf einer einsamen Insel gefunden, nachdem das Schiff ohne sie ablegte. Ihre Tochter erhebt schwere Vorwürfe.| Hamburger Abendblatt
Halloween steht vor der Tür: Lustige Geister, schräge Monster und Hexenabenteuer – diese Filme bringen Gruselspaß für die ganze Familie.| Hamburger Abendblatt
Die Justiz verhaftet weitere Verdächtige des Museumsraubes – und verspricht ihnen Strafmilderung, wenn sie zur Rückgabe der Kronjuwelen beitragen.| Hamburger Abendblatt
Shein und Temu sind bekannt für Waren zum Schnäppchenpreis. Doch diese verfehlen Sicherheitsstandards deutlich, so Stiftung Warentest.| Hamburger Abendblatt
Die Memoiren von Spaniens Ex-König Juan Carlos strotzen vor Selbstmitleid und Selbstinszenierung, liefern aber auch brisante Details.| Hamburger Abendblatt
Über fünf Jahre muss der 63-jährige Lehrer ins Gefängnis. Das Gericht findet deutliche Worte zur Dimension des Falles und zum Erfurter Gymnasium.| Hamburger Abendblatt
Der Verdacht der Volksverhetzung habe sich nicht erhärtet, so die Staatsanwaltschaft. Der Ex-„Bild“-Chef kommentiert auf seine eigene Art.| Hamburger Abendblatt
Ein Mitarbeiter des Werks eröffnete das Feuer auf Kollegen. Zwei deutsche Staatsbürger wurden tödlich getroffen. Was bisher bekannt ist.| Hamburger Abendblatt
Nach dem spektakulären Diebstahl im Pariser Museum sind weitere Verdächtige festgenommen worden. Staatsanwältin hat eine Theorie.| Hamburger Abendblatt
1916 warfen zwei australische Soldaten eine Flasche mit zwei Briefen ins Meer. Nun wurde sie entdeckt. Der Inhalt bewegt nicht nur die Angehörigen.| Hamburger Abendblatt
Bestandteile eines Wikingerschatzes, der an der Ostsee entdeckt wurde, geben Archäologen Rätsel auf. Was sagen sie über die Region aus?| Hamburger Abendblatt
Noch immer sind zwei Verdächtige nach dem Louvre-Raub auf der Flucht. Die beiden geschnappten haben bereits eine Tatbeteiligung eingeräumt.| Hamburger Abendblatt
Noch immer leben Hunderte Hunde im Sperrgebiet rund um das havarierte AKW. Dort machten Tierschützer nun eine rätselhafte Entdeckung.| Hamburger Abendblatt
Lisa Hauser erinnert im Interview an Laura Dahlmeier – und spricht offen über ihre gemeinsame Zeit und den Verlust der Biathlon-Ikone.| Hamburger Abendblatt
In Remscheid haben Spezialkräfte am Sonntag ein Haus gestürmt. Ermittler fanden Hunderte Kriegswaffen aus dem Zweiten Weltkrieg – und geheime Räume.| Hamburger Abendblatt
Die Schlagersängerin kümmert sich derzeit um ihre Familie. Doch Mitte Dezember wird Helene Fischer zu sehen sein – und neue Songs vorstellen.| Hamburger Abendblatt
Archäologen haben auf Mallorca unweit einer kleinen Lokalität überraschende Knochenbestandteile ausgegraben. Was steckt dahinter?| www.abendblatt.de
Noch immer gibt es Menschen, die die Mondlandung 1969 anzweifeln. Auch Reality-Star Kim Kardashian hängt offenbar dieser Verschwörungstheorie an.| Neue Rhein/Neue Ruhr Zeitung
Seit seiner Festnahme vor einem Jahr saß Sean Combs in einem New Yorker Gefängnis ein. Warum der US-Rapper nun verlegt wurde.| Neue Rhein/Neue Ruhr Zeitung
Ein Mann hat in einer Tochterfirma einer deutschen Firma in Cleveland das Feuer eröffnet. Zwei Deutsche sterben. Die Stellungnahme des Unternehmens.| Neue Rhein/Neue Ruhr Zeitung
Der jüngere Bruder von König Charles muss seinen Prinzentitel abgeben. Er war in die Epstein-Affäre verwickelt. Der Palast macht nun Druck.| Neue Rhein/Neue Ruhr Zeitung
Ein Foto zeigt eine schädelähnliche Struktur, die vom Boden einer großen Vulkangrube im Tschad aus in den Weltraum zu blicken scheint.| Neue Rhein/Neue Ruhr Zeitung
Der Tod von Fabian hat Güstrow erschüttert. Hunderte trauern um den Achtjährigen am Abend bei einem Gottesdienst. Mehr im Newsblog.| Neue Rhein/Neue Ruhr Zeitung
Forscher sind auf ein seltenes Relikt aus Ägypten gestoßen. Eine uralte Spur eines Töpfers gibt Einblicke in den antiken Alltag.| Neue Rhein/Neue Ruhr Zeitung
Der Ulmer Münster ist nicht mehr der höchste Kirchturm der Welt. Welches Gotteshaus in Spanien 1,41 Meter mehr nachweisen kann.| Neue Rhein/Neue Ruhr Zeitung
Über fünf Jahre muss der 63-jährige Lehrer ins Gefängnis. Das Gericht findet deutliche Worte zur Dimension des Falles und zum Erfurter Gymnasium.| www.nrz.de
Halloween steht vor der Tür: Lustige Geister, schräge Monster und Hexenabenteuer – diese Filme bringen Gruselspaß für die ganze Familie.| Neue Rhein/Neue Ruhr Zeitung
Die Justiz verhaftet weitere Verdächtige des Museumsraubes – und verspricht ihnen Strafmilderung, wenn sie zur Rückgabe der Kronjuwelen beitragen.| Neue Rhein/Neue Ruhr Zeitung
Shein und Temu sind bekannt für Waren zum Schnäppchenpreis. Doch diese verfehlen Sicherheitsstandards deutlich, so Stiftung Warentest.| Neue Rhein/Neue Ruhr Zeitung
Die Memoiren von Spaniens Ex-König Juan Carlos strotzen vor Selbstmitleid und Selbstinszenierung, liefern aber auch brisante Details.| Neue Rhein/Neue Ruhr Zeitung
Der Verdacht der Volksverhetzung habe sich nicht erhärtet, so die Staatsanwaltschaft. Der Ex-„Bild“-Chef kommentiert auf seine eigene Art.| Neue Rhein/Neue Ruhr Zeitung
Ihre Überreste lagen jahrtausendelang verborgen in einer Höhle. Jetzt zeigt ihre DNA, wie sie aussah – und wie sie vielleicht lebte.| Neue Rhein/Neue Ruhr Zeitung
Ein Mitarbeiter des Werks eröffnete das Feuer auf Kollegen. Zwei deutsche Staatsbürger wurden tödlich getroffen. Was bisher bekannt ist.| Neue Rhein/Neue Ruhr Zeitung
Nach dem spektakulären Diebstahl im Pariser Museum sind weitere Verdächtige festgenommen worden. Staatsanwältin hat eine Theorie.| www.nrz.de
1916 warfen zwei australische Soldaten eine Flasche mit zwei Briefen ins Meer. Nun wurde sie entdeckt. Der Inhalt bewegt nicht nur die Angehörigen.| Neue Rhein/Neue Ruhr Zeitung
Auf Hatteras Island stoßen Archäologen auf Spuren der Kolonisten von 1587. Könnte die Entdeckung Aufschluss über ihr Schicksal geben?| Neue Rhein/Neue Ruhr Zeitung
Noch immer sind zwei Verdächtige nach dem Louvre-Raub auf der Flucht. Die beiden geschnappten haben bereits eine Tatbeteiligung eingeräumt.| www.nrz.de
Ob Smartphone, Elektroauto oder Kampfjet: Ohne Seltene Erden läuft nichts in der Industrie. Doch Europa hat sich von China abhängig gemacht. Dessen „Quasi-Monopolstellung“ sieht ein Experte als Problem und warnt: „Die Unternehmen sitzen in der Falle.“| Startseite | RP ONLINE
Noch immer leben Hunderte Hunde im Sperrgebiet rund um das havarierte AKW. Dort machten Tierschützer nun eine rätselhafte Entdeckung.| Neue Rhein/Neue Ruhr Zeitung
Eine 80-Jährige wurde tot auf einer einsamen Insel gefunden. Nur Stunden zuvor verließ sie ein Kreuzfahrtschiff, das ohne sie wieder ablegte.| Neue Rhein/Neue Ruhr Zeitung
Lisa Hauser erinnert im Interview an Laura Dahlmeier – und spricht offen über ihre gemeinsame Zeit und den Verlust der Biathlon-Ikone.| Neue Rhein/Neue Ruhr Zeitung
In Remscheid haben Spezialkräfte am Sonntag ein Haus gestürmt. Ermittler fanden Hunderte Kriegswaffen aus dem Zweiten Weltkrieg – und geheime Räume.| Neue Rhein/Neue Ruhr Zeitung
In Deutschland wird es wieder gruselig: Mit diesen Halloween-Sprüchen bringen Sie Freunde auf WhatsApp zum Lachen – oder zum Schaudern.| Neue Rhein/Neue Ruhr Zeitung
Das Schulgelände wurde abgesperrt. Die Polizei sucht nach einer bewaffneten Person. Ob wirklich Gefahr besteht, ist noch unklar.| Neue Rhein/Neue Ruhr Zeitung
Häusliche Gewalt trifft vor allem Frauen – doch auch immer mehr Männer suchen Schutz. Viele können nicht in Einrichtungen aufgenommen werden.| Neue Rhein/Neue Ruhr Zeitung
Halloween verbinden viele mit Süßigkeiten und Kostümen. Doch hinter dem Fest steckt mehr als nur der Spaß am Gruseln. Ein Überblick.| Neue Rhein/Neue Ruhr Zeitung
Allerheiligen ist ein Feiertag – aber nicht in allen Bundesländern. Wo die Menschen am 1. November frei haben und was hinter dem Tag steckt.| Neue Rhein/Neue Ruhr Zeitung
Ein außergewöhnlicher Fund im einstigen Ovilava bringt der Region römische Geschichte zurück. Forscher stoßen auf einzigartige Werke.| Neue Rhein/Neue Ruhr Zeitung
Neue Aussagen der Angeklagten: Es geht um ihre seelische Verfassung und ihren Ex-Mann Stephan Hensel. Christina Block über das „Beweismittel“ Tagebuch.| www.nrz.de
Häusliche Gewalt trifft vor allem Frauen – doch auch immer mehr Männer suchen Schutz. Viele können nicht in Einrichtungen aufgenommen werden.| Hamburger Abendblatt
In fünf Bundesländern ist Allerheiligen ein Feiertag. Doch auch dort kann man an bestimmten Orten einkaufen. Der große Überblick.| Hamburger Abendblatt
Allerheiligen ist ein Feiertag – aber nicht in allen Bundesländern. Wo die Menschen am 1. November frei haben und was hinter dem Tag steckt.| Hamburger Abendblatt
Das Schulgelände wurde abgesperrt. Die Polizei sucht nach einer bewaffneten Person. Ob wirklich Gefahr besteht, ist noch unklar.| Hamburger Abendblatt
Warum wurden Statuen und Bildnisse der einst mächtigen Herrschrein vernichtet? Forscher könnten nun das uralte Rätsel gelöst haben.| Hamburger Abendblatt
Aufregung in Hagen: Am Morgen wurde in der Bodelschwingh-Schule Amok-Alarm ausgelöst. Die Polizei ist im Einsatz, mehrere Straßen sind gesperrt.| Hamburger Abendblatt
Naturschützer Norbert Schneeweiß kämpft in Linum gegen das Virus. Ein Besuch bei einem Mann, der Matsch und Wasser nach Kadavern absucht.| Hamburger Abendblatt
Wer nach ungeschütztem Sex sichergehen will, kann auf die „Pille danach“ zurückgreifen. In England ist das nun kostenfrei möglich.| Hamburger Abendblatt
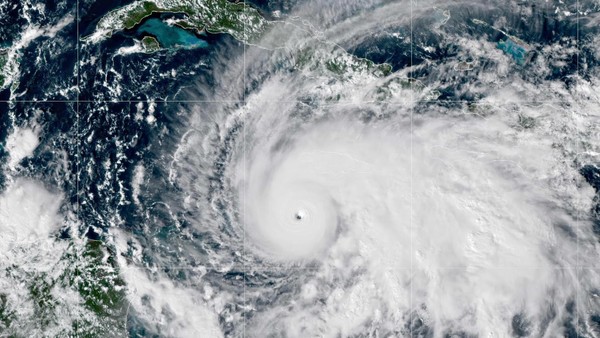
Hurrikan „Melissa“ hat Kuba erreicht. Zuvor richtete der Sturm auf Jamaika schwere Schäden an – nun warnen die Behörden vor Krokodilen.| Hamburger Abendblatt
Millionen suchen Rat bei ChatGPT – auch in seelischen Notlagen. Nun zeigen Zahlen von OpenAI, wie viele Menschen mit der KI über Suizid reden.| Hamburger Abendblatt
Schusswechsel, brennende Barrikaden, Drohnenangriffe: Der Einsatz gegen das Rote Kommando führt zu bürgerkriegsähnlichen Zuständen.| Hamburger Abendblatt
Die Vogelgrippe breitet sich rasant aus. Virologe Klaus Stöhr warnt vor einer neuen Pandemie bei Menschen. Was seiner Meinung nach getan werden muss.| Hamburger Abendblatt
Am Sonnabend musste eine Lufthansa-Maschine von Chicago nach Frankfurt in Boston landen. Nun gibt es Details, was an Bord passierte.| Hamburger Abendblatt
Forscher haben auf der Basis einer DNA-Analyse von 4000 Jahre alten Gebeinen Hinweise auf eine bekannte Infektionskrankheit entdeckt.| Hamburger Abendblatt
Der deutsche Pass öffnet viele Türen – und Ländergrenzen. Nur die Bürger von drei asiatischen Ländern genießen noch mehr Reisefreiheit.| Hamburger Abendblatt
Fußball-Torwart Josep Martinez war in einen Unfall verwickelt, bei dem ein 81-Jähriger starb. Der Keeper steht unter Schock; der Verein reagierte.| Hamburger Abendblatt
Der Skandal-Bruder von König Charles soll seinen Wohnsitz auf dem Gelände von Schloss Windsor verlassen. Doch Andrew hat einen anderen Plan.| Hamburger Abendblatt
In einem Waldgebiet in Kenia ist ein Flugzeug von Mombasa Air Safari verunglückt. Alle elf Insassen kamen bei dem Absturz ums Leben.| Hamburger Abendblatt
In Bernau findet ein Mann ein Skelett auf einem verlassenen Grundstück. Die Umstände des Todes sind für die Polizei noch völlig unbekannt.| Hamburger Abendblatt
Der Content Creator und Influencer Ben Bader hatte sich mit 25 Jahren eine große Fangemeinde erarbeitet. Nun ist unerwartet gestorben.| Hamburger Abendblatt
Ein alter Lobgesang offenbart Babylons Blütezeit – mitsamt Stadtgott, Euphrat und den Rollen der Priesterinnen. Was er heute verrät.| Hamburger Abendblatt
Bald startet in Italien die Skisportsaison, allerdings mit einer Neuerung: Das Tragen eines Helmes ist nun Pflicht auf italienischen Pisten.| Hamburger Abendblatt
Immer wieder erschüttern Erdbeben die Türkei, immer wieder gibt es Tote. Doch Experten sind sich sicher: In Istanbul kommt das Schlimmste erst noch.| Hamburger Abendblatt
Gruselfans aufgepasst: Ob Psychothriller, blutige Slasher oder Kultklassiker – diese Filme sorgen für Nervenkitzel pur an Halloween.| Hamburger Abendblatt
Ein Kategorie-5-Sturm steuert auf Jamaika zu. Behörden warnen vor tödlichen Windböen und Fluten. Was macht „Melissa“ besonders gefährlich?| Hamburger Abendblatt
Luchino Viscontis Verfilmung von Thomas Manns Novelle „Tod in Venedig“ machte Björn Andrésen berühmt. Der frühe Ruhm war auch Fluch. Nun ist Andrèsen gestorben.| www.abendblatt.de
Wer nach ungeschütztem Sex sichergehen will, kann auf die „Pille danach“ zurückgreifen. In England ist das nun kostenfrei möglich.| www.nrz.de
Naturschützer Norbert Schneeweiß kämpft in Linum gegen das Virus. Ein Besuch bei einem Mann, der Matsch und Wasser nach Kadavern absucht.| Neue Rhein/Neue Ruhr Zeitung
Millionen suchen Rat bei ChatGPT – auch in seelischen Notlagen. Nun zeigen Zahlen von OpenAI, wie viele Menschen mit der KI über Suizid reden.| Neue Rhein/Neue Ruhr Zeitung
Schusswechsel, brennende Barrikaden, Drohnenangriffe: Der Einsatz gegen das Rote Kommando führt zu bürgerkriegsähnlichen Zuständen.| Neue Rhein/Neue Ruhr Zeitung
„Melissa“ deckt auf der Karibikinsel Dächer ab, stürzt Bäume um und überflutet Straßen. Tausende suchen Schutz. Wie groß das Ausmaß der Schäden ist.| Neue Rhein/Neue Ruhr Zeitung
Zusammenstöße zwischen Walen und Schiffen häufen sich an der Küste von British Columbia. Jetzt gibt es einen Appell an die Bootsführer.| Neue Rhein/Neue Ruhr Zeitung
Die Vogelgrippe breitet sich rasant aus. Virologe Klaus Stöhr warnt vor einer neuen Pandemie bei Menschen. Was seiner Meinung nach getan werden muss.| Neue Rhein/Neue Ruhr Zeitung
Am Sonnabend musste eine Lufthansa-Maschine von Chicago nach Frankfurt in Boston landen. Nun gibt es Details, was an Bord passierte.| Neue Rhein/Neue Ruhr Zeitung
Ocker war mehr als nur eine Farbe. Vor über 70.000 Jahren wurde es für die Steinbearbeitung genutzt – eine revolutionäre Entdeckung.| Neue Rhein/Neue Ruhr Zeitung
Der deutsche Pass öffnet viele Türen – und Ländergrenzen. Nur die Bürger von drei asiatischen Ländern genießen noch mehr Reisefreiheit.| Neue Rhein/Neue Ruhr Zeitung
Fußball-Torwart Josep Martinez war in einen Unfall verwickelt, bei dem ein 81-Jähriger starb. Der Keeper steht unter Schock; der Verein reagierte.| Neue Rhein/Neue Ruhr Zeitung
In einem Waldgebiet in Kenia ist ein Flugzeug von Mombasa Air Safari verunglückt. Alle elf Insassen kamen bei dem Absturz ums Leben.| Neue Rhein/Neue Ruhr Zeitung
In Bernau findet ein Mann ein Skelett auf einem verlassenen Grundstück. Die Umstände des Todes sind für die Polizei noch völlig unbekannt.| Neue Rhein/Neue Ruhr Zeitung
Der Content Creator und Influencer Ben Bader hatte sich mit 25 Jahren eine große Fangemeinde erarbeitet. Nun ist unerwartet gestorben.| Neue Rhein/Neue Ruhr Zeitung